Vietjet nhận bàn giao tàu bay Boeing đầu tiên, dấu mốc 30 năm quan hệ Việt Nam – Mỹ
Lễ bàn giao diễn ra trang trọng tại trung tâm giao nhận tàu bay Boeing, Seattle, bang Washington, Mỹ, với […]
Lễ bàn giao diễn ra trang trọng tại trung tâm giao nhận tàu bay Boeing, Seattle, bang Washington, Mỹ, với […]
Theo Bộ Tài chính, hiện tại, việc thí điểm cho người Việt Nam vào chơi casino tại dự án casino
Sản phẩm mới khẳng định cam kết của Signify về việc phát triển các giải pháp chiếu sáng bền vững
Theo Sở Tài chính TP.HCM, trước ngày 1.7.2025, UBND cấp huyện có xây dựng phương án bố trí trụ sở
UBND TP.Hà Nội đã có tờ trình gửi HĐND thành phố đề nghị phê duyệt điều chỉnh chủ trương đầu
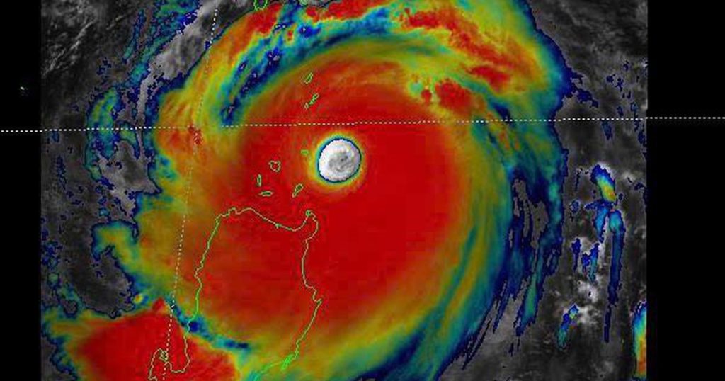
Trung tâm Dự báo khí tượng thủy văn quốc gia cho biết: Siêu bão Ragasa lúc 7 giờ sáng (22.9)
Dự thảo Nghị định quy định chi tiết thi hành một số điều của luật Thuế tiêu thụ đặc biệt
Sáng 22.9, giá USD tại các ngân hàng nhích nhẹ. Chẳng hạn, Ngân hàng Vietcombank tăng thêm 3 đồng, đưa
Công ty vàng bạc đá quý Sài Gòn – SJC giữ giá vàng miếng SJC ở mức 131 triệu đồng
Bộ Công thương vừa ban hành Quyết định số 2259 về việc thành lập Hội đồng phân giao hạn ngạch